El instituto reitera que se mantendrán zonas nubladas con lluvias y lloviznas en las regiones mencionadas durante las próximas seis…
Leer más

El instituto reitera que se mantendrán zonas nubladas con lluvias y lloviznas en las regiones mencionadas durante las próximas seis…
Leer más
El Inameh precisó que estas condiciones se verán reforzadas por el calentamiento diurno y los efectos convectivos locales, que suelen…
Leer más
Se recomienda a la población de las zonas afectadas tomar las precauciones necesarias ante posibles crecidas de ríos o inundaciones…
Leer más
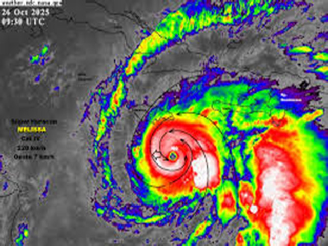
Melissa se situaba a 180 kilómetros al sur-sudeste de Kingston, Jamaica, y a 415 kilómetros al sur de Santiago de…
Leer más
Se espera que, en las próximas horas, los equipos de gestión de riesgo y protección civil realicen un balance exhaustivo…
Leer más
A partir del mediodía, el INAMEH anticipa un aumento en la cobertura nubosa, lo que intensificará las precipitaciones y la…
Leer más
Ante la amenaza, las autoridades del CNH han hecho un llamado urgente a la población a través de boletines oficiales.…
Leer más
Una advertencia grave ha sacudido a Venezuela: la geóloga Luirama Salazar ha señalado que el occidente del país se enfrenta…
Leer más
Las autoridades recomiendan a la población mantenerse informada a través de los reportes del Inameh y tomar precauciones ante la…
Leer más
En el caso de la Gran Caracas, se mantendrá un cielo parcialmente nublado durante la mañana, pero a partir del…
Leer más
Se prevé que la Onda Tropical número 29 llegue al territorio nacional entre el domingo 24 y el lunes 25…
Leer más